ClickCase.it

Villa in Vendita a San Pietro Vernotico

Villa in Vendita da Privato - Via Ruggero Leoncavallo 15, San Pietro Vernotico

350 m² | più di 5 locali | € 160.000 | Segnala abuso

Descrizione

Vendita da privato. Bellissima villa indipendente molto grande e spaziosa, con un ampio giardino, spazio per auto e triplo piano vivibile situato in una zona molto tranquilla ma allo stesso tempo vicinissimo ad ospedale, supermercato, ecc.

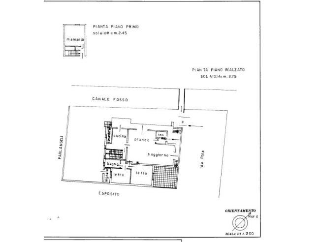
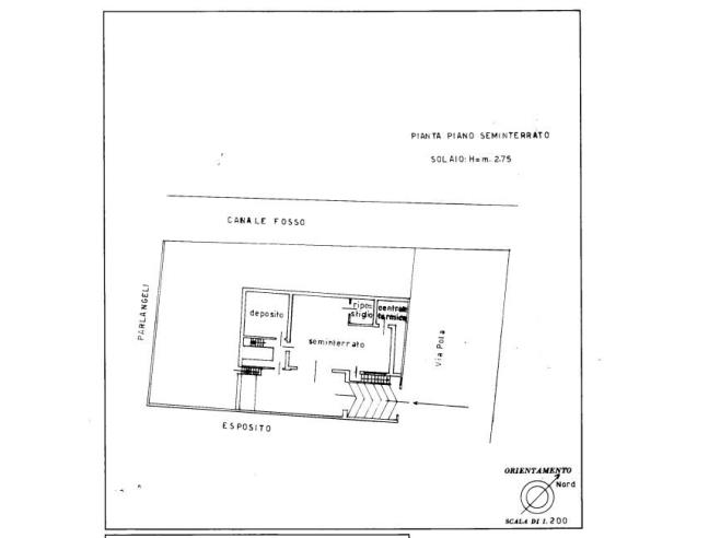
La casa ha le seguenti superfici:

Suolo mq. 350,00

Superficie coperta a Piano Seminterrato mq. 185

Superficie coperta a Piano Rialzato mq. 150

Superficie coperta a Piano Primo mq. 40

La casa e' stata costruita a fine anni 80, su due strade ad angolo in posizione vicinissima al plesso scolastico e all' ospedale, con ampio e lungo viale alberato comunale adiacente. La strada principale cui si arriva in 10 passi, è fornita di supermercati, bar e tabacchi, e varie mercerie. Il paese dista 18 km da Brindisi e 22 km da Lecce e a 7 minuti dal mare.

La villetta è strutturata su tre piani abitabili di cui:

- un grande seminterrato con entrata indipendente, piano rialzato per posto auto, 2 bagni e stanze varie. Le possibilita' sono o di renderlo vivibile per possibilita' di affitto o per appartamento per ospiti oppure di renderlo un ampio magazzino con spazio auto .

-un piano-terra con due camere da letto, due bagni, un angolo cottura, un soggiorno, un ampio salone divisibile, e circondato da giardino pavimentato e semi-coperto;

- un primo piano, con mini-appartamento per 1-2 persone recentemente costruito su ampio terrazzo scoperto e pavimentato, dotato di ampia stanza arredata, piccolo bagno con tutti i servizi igienici, angolo cottura indipendente, e piccola veranda balconata di cui la vista e' molto carina. Tra il piano terra ed il primo piano è situata una veranda semi-coperta e pavimentata, e due rampe di scale.

La casa è dotata di termoriscaldamento autonomo al piano terra, con termocamino a legna allacciato ai termosifoni, ed al primo piano, con piccola stufa a legna. I condizionatori sono presenti in tutte le stanze di piano terra e del primo piano, da revisionare in quanto scarichi, ma intatti.

Si vende cosi com'e', ci son dei lavori da fare per renderla piu' vivibile ed ammobiliarla ma niente di drastico.

Contatti

Inserzionista Manuela Manuela
Aggiornato il 28 giugno 2025

No contatti pubblicitari, grazie.

Invia un messaggio all'inserzionista

Casa Da Privato
La tua pubblicitĂ  qui, contattaci subito!

© 2005-2025 LaboWeb S.n.c. - P. Iva 10185480968
L'utilizzo del sito è subordinato all'accettazione delle Condizioni Generali, Informativa Privacy e Cookie Privacy - Impostazioni Privacy