300 m² | più di 5 locali | 3 bagni | € 400.000 | Segnala abuso
 
	                        Descrizione
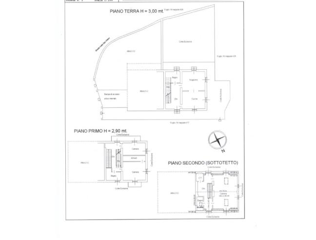
No provvigioni. situata in un contesto tranquillo ma non isolato troviamo una porzione di bifamiliare interamente ristrutturata nel 2012. L'ingresso tramite vialetto privato conduce al disimpegno dal quale è possibile accedere alla cucina abitabile e all'ampio soggiorno. La pavimentazione interessata su questo piano è un pregiato parquet di noce nazionale. Al medesimo piano troviamo infine il primo bagno dotato di box doccia con finiture di pregio. L'accesso al giardino di circa 150 mq è garantito dalla porta finestra su soggiorno.
Tramite scale in muratura rivestita da pietra di Luserna accediamo al primo piano ove troviamo una prima ampia camera da letto matrimoniale dotata di cabina armadio esclusiva. Un ulteriore camera ed un ampio bagno provvisto di doccia completa il piano. Infine collegata dalla medesima scala troviamo il locale mansardato provvisto di regolare abitabilità attualmente utilizzato come unica grande camera da letto con bagno personale. L'ampia metratura e l'altezza di quest'ultimo piano consentirebbe una facile divisione al fine di ottenere ulteriori due camere. L'esterno si presenta interamente pianeggiante, parzialmente piastrellato e coperto da dehors. La ristrutturazione del 2012 ha inoltre interessato la parte energetica andando a coibentare muri perimetrali, isolando il tetto e lavorando sull'efficienza della caldaia alimentata a gpl permettendo inoltre, grazie all'utilizzo di una stufa in soggiorno di contenere le spese di riscaldamento. L'impianto elettrico è previsto di domotica e vi sono inoltre lungo tutto il perimetro esterno della casa faretti contapassi incassati.
Vi è infine la presenza di un posto auto scoperto.
Classe energetica D 162,00 kWh/m²a
Caratteristiche

Contatti
Inserzionista ROBERTA
Aggiornato il 19 settembre 2025
No contatti pubblicitari, grazie.
 
	                         
	                         
	                         
	                         
	                         
	                        