ClickCase.it

Terreno Edificabile Vista Mare 6500mq (3160 C2)

Terreno Edificabile Residenziale in Vendita da Privato - Via Scorsonello 53, Savoca

6500 m² | € 259.000 | Segnala abuso

Descrizione

Vendita da privato. VENDESI TERRENO EDIFICABILE VISTA MARE A SAVOCA (CONTRADA SCORSONELLA)
Proponiamo in vendita un lotto di terreno di 6.500 mq totali, situato nel bellissimo borgo di Savoca (Contrada Scorsonella), in posizione panoramica con splendida vista mare.
CARATTERISTICHE PRINCIPALI:
• Superficie totale: 6.500 mq
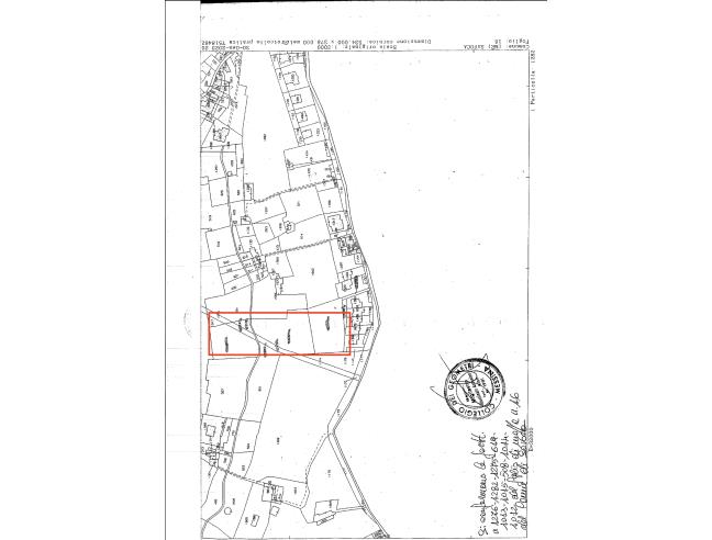
• Superficie edificabile: circa 3.160 mq ricadenti in Zona C2 (e B4 ex C2)
• Conformazione: Terrazzato, ideale per valorizzare la vista da ogni punto
• Accesso: Diretto e comodo dalla strada principale
Il lotto, provvisto di Certificato di Destinazione Urbanistica (CDU) aggiornato, rappresenta un’ottima opportunità per imprese edili, costruttori o per chi desidera realizzare un piccolo complesso di villette/strutture ricettive in una delle zone più richieste del litorale ionico.
Vendita diretta da privato (referente per conto del proprietario).
Tutta la documentazione catastale (Foglio 16) e urbanistica è già pronta e disponibile su richiesta per chi è concretamente interessato.
Astenersi perditempo e sognatori.
Per maggiori informazioni, per una prima telefonata conoscitiva o per fissare un sopralluogo, contattatemi telefonicamente o tramite WhatsApp.

Contatti

Inserzionista nunzio cicala
Annuncio del 02 aprile 2026

No contatti pubblicitari, grazie.

Invia un messaggio all'inserzionista

La tua pubblicità qui, contattaci subito!

© 2005-2026 LaboWeb S.n.c. - P. Iva 10185480968
L'utilizzo del sito è subordinato all'accettazione delle Condizioni Generali, Informativa Privacy e Cookie Privacy - Impostazioni Privacy