ClickCase.it

terreno agricolo boschivo a €1,2 al mq

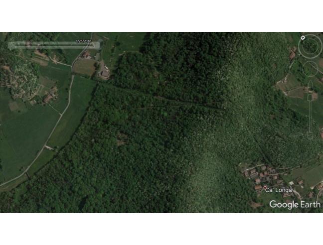
Terreno Agricolo/Coltura in Vendita da Privato - Via Vasco de Gama 4, Albano Sant'Alessandro

45000 m² | € 10.000 | Segnala abuso

Descrizione

Vendita da privato. LOTTO 1 mappale766 PREZZO RIBASSATO
Lotto di terreno agricolo boschivo ubicato nella tranquilla e soleggiata valle d'Albano ad Albano sant'Alessandro all'interno del plis delle valli d'Argon.
Il terreno in corpo unico ha una consistenza totale di 10. 000 mq. Si presta per attività di allevamento semibrado. Possibilità di incassare da subito dal taglio delle piante in piedi.

POSSIBILITA' di FRAZIONAMENTO VALORE DI PERIZIA €2 AL MQ

VERA OCCASIONE SIA TERRENO SIA PIANTE IN PIEDI A 1, 2 EURO AL MQ.

Terreno identificato come bosco ceduo con piante di castagno, rovere, faggio, ecc , facilmente accessibili tramite sentiero e/o strada forestale a 100 dal parcheggio Albano Sant'Alessandro (BG)

LOTTO 2 mappali 392 e 766 PREZZO RIBASSATO
Lotto unico di terreno agricolo boschivo ubicato nella tranquilla e soleggiata valle d'Albano ad Albano sant'Alessandro all'interno del plis delle valli d'Argon.
Il terreno in corpo unico ha una consistenza totale di 45. 000 mq. Si presta per attività di allevamento semibrado. Possibilità di incassare da subito dal taglio delle piante in piedi.

POSSIBILITA' di FRAZIONAMENTO VALORE DI PERIZIA €2 AL MQ

VERA OCCASIONE SIA TERRENO SIA PIANTE IN PIEDI A 1, 2 EURO AL MQ.

Terreno identificato come bosco ceduo con piante di castagno, rovere, faggio, ecc , facilmente accessibili tramite sentiero e/o strada forestale a 100 dal parcheggio Albano Sant'Alessandro (BG)

Video

Contatti

Inserzionista francesco
Aggiornato il 17 marzo 2026

Invia un messaggio all'inserzionista

Casa Da Privato
La tua pubblicità qui, contattaci subito!

© 2005-2026 LaboWeb S.n.c. - P. Iva 10185480968
L'utilizzo del sito è subordinato all'accettazione delle Condizioni Generali, Informativa Privacy e Cookie Privacy - Impostazioni Privacy