ClickCase.it

casale Nido dell' Aquila

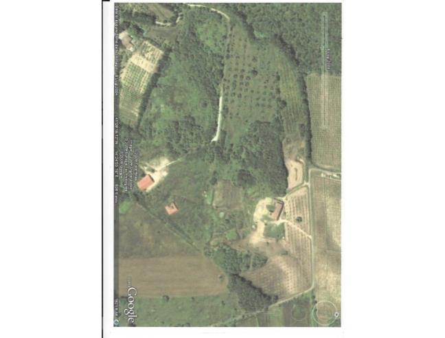
Villa in Vendita da Privato - Via Monticelli 49, Castel Campagnano

360 m² | più di 5 locali | Trattativa Riservata | Segnala abuso

Descrizione

No provvigioni. sulla sommità di una collina, con 4 ettari di terreno con 600 ulivi, vigna di 250 piante, 200 noccioli e varie piante da frutta. Due boschetti di quercia e olmi

Contatti

Inserzionista Luigi
Annuncio del 23 gennaio 2026

No contatti pubblicitari, grazie.

Invia un messaggio all'inserzionista

La tua pubblicitĂ  qui, contattaci subito!

© 2005-2026 LaboWeb S.n.c. - P. Iva 10185480968
L'utilizzo del sito è subordinato all'accettazione delle Condizioni Generali, Informativa Privacy e Cookie Privacy - Impostazioni Privacy