8 m² | 1 locale | € 10.500 | Segnala abuso
 
	                        Descrizione
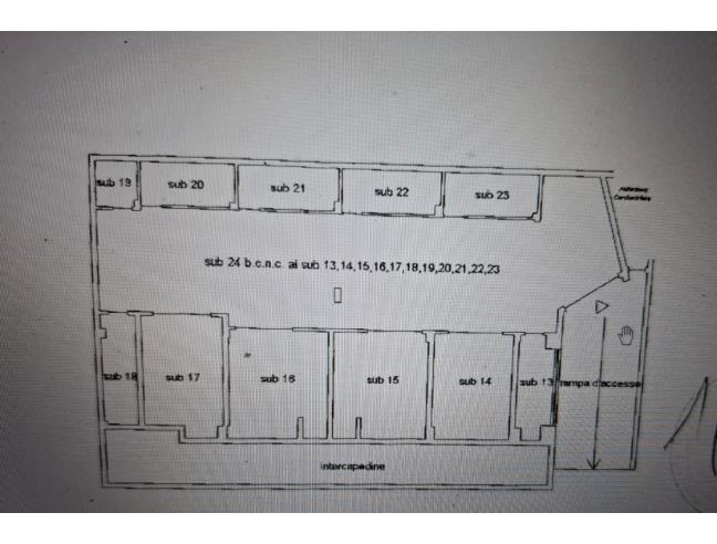
Vendita da privato. Cantina in Civitavecchia zona Grotte Aurelia, mai utilizzata. Mq 8 di superficie e mq 4 di soppalco  oltre 6 scaffalature nuove.  Altezza 3,30. Fornita di energia elettrica condominiale. Acqua presente nell'area cantine. Rampa di accesso con cancello e porta basculante elettrica per accesso area box e cantine. Spese condominiale circa 3€ mensili. Numero 22 della planimetria. NO AGENZIE.
Contatti
Inserzionista stefano
Annuncio del 10 luglio 2025
No contatti pubblicitari, grazie.
 
	                         
	                         
	                         
	                        